• 28 de octubre de 2025 17:25

Huracán Melissa de categoría 5, en vivo: última hora, impacto en Jamaica y trayectoria minuto a minuto

Porradioplayjujuy

Oct 28, 2025

También se esperaba que Melissa tocara tierra en el este de Cuba tarde el martes como un huracán poderoso.

Había una alerta de huracán en efecto para las provincias de Granma, Santiago de Cuba, Guantánamo y Holguín, y se emitió una alerta de tormenta tropical para Las Tunas. Se esperaban hasta 51 centímetros de lluvia para partes de Cuba, junto con una marejada ciclónica significativa a lo largo de la costa.

Los funcionarios cubanos dijeron el lunes que estaban evacuando a más de 600.000 personas de la región, incluyendo Santiago, la segunda ciudad más grande de la isla.

Matthew Cappucci, un meteorólogo que colabora con The Washington Post, contó en primera persona un sobrevuelo al ojo del huracán, que él realizó el domingo por la noche y que quedó plasmado en un video de la Administración Nacional Oceánica y Atmosférica (NOAA) y de su sitio, MyRadar.

Cappucci lo describió como “uno de los momentos más impactantes” de su carrera y “una visión única de la meteorología que la mayoría nunca tendrá”.

Estados Unidos movió sus embarcaciones desplegadas en el Caribe ante la amenaza del huracán de máxima categoría Melissa.

Washington movilizó en agosto a siete buques de guerra, así como cazas F-35, para luchar contra el tráfico de drogas. Las fuerzas estadounidenses “implementaron planes para condiciones climáticas adversas y se alejaron de cualquier área donde las condiciones climáticas actuales o pronosticadas sean peligrosas y puedan representar niveles inaceptables de riesgo”, informó el Comando Sur del ejército

Alerta maxima por el huracan «Melissa»

Alexis, un argentino que viajó con su familia a Jamaica y quedó varado en medio del huracán, habló con LN+ y sostuvo: “Por el momento, aparentemente pasaba por el sur y el norte sería menos afectado. Ahora dicen que pasaría por el centro”.

“Yo estoy del lado de donde saldría el huracán, no por donde ingresa. A medida que haga contacto con la Tierra podría debilitarse», sumó.

Y concluyó: “Estábamos de vacaciones, nos íbamos ayer y el domingo al mediodía decidieron cerrar los aeropuertos. Soy de Córdoba. Es la primera vez que veníamos a Jamaica. Por el momento, la aerolínea nos reprogramó para el viernes”.

Testimonio del argentino varado en Jamaica

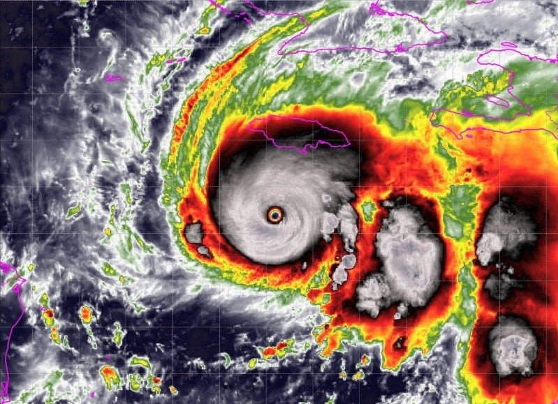
Melissa avanza lentamente hacia la isla con vientos máximos sostenidos de 290 km/h, según el último boletín del centro estadounidense de huracanes (NHC). Este huracán de categoría 5, va camino de ser el más poderoso en alcanzar jamás Jamaica.

Existe el temor de que Melissa provoque una devastación comparable a la de huracanes históricos, como María en 2017 o Katrina en 2005, que dejaron huellas imborrables en Puerto Rico y en la ciudad estadounidense de Nueva Orleans.

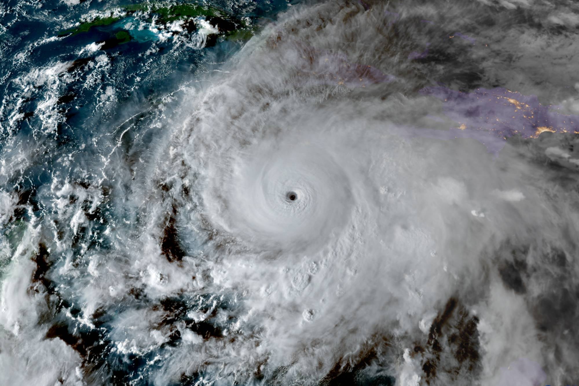
Un impresionante video permite ver desde adentro el ojo del huracán Melissa, que se acercaba a Jamaica el martes como una tormenta catastrófica de categoría 5, la más fuerte que ha golpeado la isla desde que se comenzaron a llevar registros hace 174 años.

El ojo del huracan «Melissa»

Un avión de la Fuerza Aérea de Estados Unidos del 53.º Escuadrón de Reconocimiento Meteorológico, conocido como “Cazadores de Huracanes” de la Reserva de la Fuerza Aérea, sobrevoló el ojo de Melissa.

El potente huracán Melissa se aleja de República Dominicana, pero su impacto se sentirá por varios días en este país con riesgo de inundaciones, informaron las autoridades el martes. Melissa, de categoría 5, la máxima en la escala Saffir-Simson, avanza lentamente por el Caribe, donde ya provocó siete muertos: tres en Jamaica, tres en Haití y uno en República Dominicana, donde equipos de rescate buscan a un adolescente desaparecido. Aunque su trayectoria prevista se alejó del país, el amplio campo nuboso alrededor de Melissa impacta con riesgo de nuevas inundaciones y deslizamientos de tierra.

Al menos 1,5 millones de personas podrían verse afectadas por el huracán Melissa en Jamaica, advirtió este martes en Ginebra Necephor Mghendi, jefe de la delegación de la Federación Internacional de Sociedades de la Cruz Roja y de la Media Luna Roja (FICR) para el Caribe. Esta es una subestimación, añadió, ya que el impacto amenaza con interrumpir servicios esenciales, cerrar mercados y escuelas, y bloquear carreteras. Por lo tanto, “toda la población podría verse afectada de una u otra forma, además de los más vulnerables, aquellos en las zonas costeras. En general, toda la isla se verá afectada”, añadió en una videoconferencia.

“Lo superaremos juntos”, declaró Evan Thompson, director del servicio meteorológico jamaicano. Sin embargo, el primer ministro, Andrew Holness, advirtió sobre la magnitud del desastre inminente: “No hay infraestructura en la región que pueda resistir una categoría 5. La verdadera pregunta será la velocidad de recuperación”.

Se reportaron deslizamientos de tierra, árboles caídos y numerosos cortes de energía antes de la tormenta. Las autoridades en Jamaica advirtieron que la limpieza y la evaluación de daños serían lentas. Se espera que la tormenta entre cerca de la parroquia de St. Elizabeth en el sur y salga alrededor de la parroquia de St. Ann en el norte, según los pronosticadores.

Melissa también tocaría tierra en el este de Cuba este martes como un huracán poderoso. Había una alerta de huracán en efecto para las provincias de Granma, Santiago de Cuba, Guantánamo y Holguín, y se emitió una alerta de tormenta tropical para Las Tunas. Se esperaban hasta 51 centímetros de lluvia para partes de Cuba, junto con una marejada ciclónica significativa a lo largo de la costa.

Un hombre desecha residuos en un punto de recolección antes de la llegada del huracán Melissa, en Santiago de Cuba, el 27 de octubre de 2025

Los funcionarios cubanos dijeron el lunes que estaban evacuando a más de 600.000 personas de la región, incluyendo Santiago, la segunda ciudad más grande de la isla.

Las autoridades y los servicios meteorológicos prevén que el centro del ciclón toque tierra en la isla este martes. El Centro Nacional de Huracanes de Estados Unidos (NHC) ubicó el centro de Melissa a unos 205 kilómetros al sursuroeste de Kingston, la capital jamaiquina, y a 505 kilómetros al sursuroeste de Guantánamo, Cuba. La tormenta se mueve lentamente hacia el oeste a una velocidad de seis kilómetros por hora, una característica que preocupa a los especialistas.

Matthew Samuda, ministro de Agua y Medio Ambiente de Jamaica, dijo que tenía más de 50 generadores disponibles para desplegar después de la tormenta, pero advirtió a las personas que aparten agua limpia y la usen con moderación. “Cada gota contará”, señaló.

Jamaica se encuentra bajo alerta máxima ante la inminente llegada del ciclón

Colin Bogle, asesor de Mercy Corps con base cerca de Kingston, comentó que la mayoría de las familias se están refugiando en sus hogares a pesar de que el gobierno ordenó evacuaciones en comunidades propensas a inundaciones.

Un hombre observa cómo las olas golpean los muros del malecón de Kingston el 27 de octubre de 2025

“Muchos nunca han experimentado algo como esto antes, y la incertidumbre es aterradora”, manifestó. “Hay un miedo profundo a perder hogares y medios de vida, a sufrir lesiones y a ser desplazados”.

Horas antes de la tormenta, el gobierno de Jamaica dijo que había hecho todo lo posible para prepararse, mientras advertía sobre daños catastróficos.

“No hay infraestructura en la región que pueda soportar una categoría 5”, afirmó el primer ministro, Andrew Holness. “La pregunta ahora es la velocidad de recuperación. Ese es el desafío”.

El huracán Melissa amenazó a Jamaica con lluvias potencialmente mortales después de intensificarse rápidamente hasta convertirse en una tormenta de categoría 5, mientras los residentes buscaban refugio de lo que podría ser el clima más violento registrado en la isla

Al menos siete personas murieron y otras trece resultaron heridas en distintas zonas del país caribeño durante las tareas de preparación previas a la llegada del huracán Melissa.

Según informó el ministro de Salud, Christopher Tufton, las víctimas fallecieron por accidentes vinculados con la caída de árboles o descargas eléctricas, mientras que la mayoría de los heridos sufrió golpes y caídas al intentar asegurar viviendas.

“No se aventuren fuera de su refugio seguro”, advirtió el Centro Nacional de Huracanes de Estados Unidos (NHC, por sus siglas en inglés) en su comunicado matutino y luego detalló sobre los “efectos catastróficos” que podría tener el huracán en Jamaica.

Mientras, las autoridades jamaiquinas insistían en la urgencia de evacuar las zonas costeras.“Evacúen hoy, porque las condiciones van a deteriorarse”, remarcó la primera ministra Dana Morris Dixon, en un mensaje televisado que buscó convencer a los reacios a abandonar sus hogares.

Las nuevas imágenes satelitales muestran el ojo del huracán Melissa y su trayectoria hacia Jamaica, Cuba y las Bahamas

El huracán Melissa se acerca a Jamaica este martes como una tormenta catastrófica de categoría 5, la más fuerte que golpeó la isla desde que comenzaron a llevarse registros hace 174 años.

Con vientos sostenidos de hasta 270 kilómetros por hora, se espera que la tormenta toque tierra temprano y cruce diagonalmente la isla. Poco después, golpearía Cuba.

​Con vientos máximos sostenidos de 290 km/h, el ciclón está a punto de tocar el país, donde dejará lluvias torrenciales y vientos devastadores, según advirtieron las autoridades; por su potencia, podría arrasar la infraestructura; estiman que luego impactará en Cuba  El Mundo