Las costas mexicanas del Océano Pacífico viven horas críticas este jueves por la mañana ante la inminente llegada del Huracán Erick que ascendió a categoría 4 en menos de un día.
Según informó LN +, el ciclón, uno de los primeros de esta temporada, se intensificó en muy poco tiempo y atravesó gran parte del Pacífico con temperaturas elevadas. Durante la mañana del miércoles la categoría era de nivel 1.
En los diferentes videos se percibe cómo los poderosos vientos y el fuerte oleaje destruyen locales, derriban árboles y generan inundaciones repentinas.
Los estados de Oxaca y Guerrero se encuentran en máxima alerta por el aviso metodológico que prevé que el huracán toque tierra en las primeras horas de la mañana de este jueves. Los habitantes, que recuerdan los destrozos causados por los huracanes Otis y John, aguardan el impacto de Erick con gran preocupación.
Rachas de hasta 275 Km/h
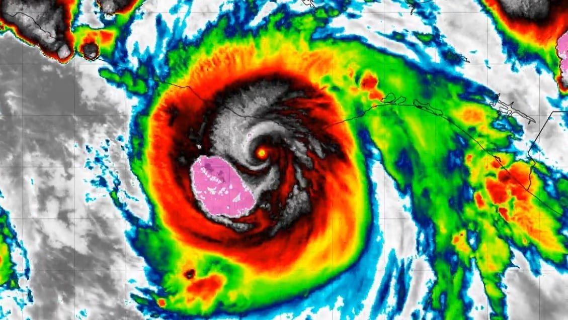
El Servicio Meteorológico Nacional de México informó que el ciclón registró vientos sostenidos constantes de 230 km/h, con rachas devastadoras de hasta 275 kilómetros por ahora. Los mapas mostraron un ojo bien definido y un entorno de tormentas severas.

La autoridades reforzarán las medidas preventivas en las costas mexicanas ante la inminente llegada del huracán que podría dejar graves inundaciones y deslizamientos peligrosos para la vida humana.
#Erick sigue desplazándose en tierra como #Huracán de categoría 1 en la escala #SaffirSimpson. Está a 100 km al nor-noroeste de Punta Maldonado, #Guerrero. Detalles puedes consultarlos en https://t.co/VVYNAkgh8w pic.twitter.com/Rd3H0Oe6pA
— CONAGUA Clima (@conagua_clima) June 19, 2025
En esta temporada se esperan alrededor de 37 huracanes entre el Pacífico y el Atlántico.
Crece la preocupación en los estados de Oaxaca y Guerrero por el poderoso ciclón que tocará tierra en las próximas horas; se esperan rachas devastadoras de hasta 275 kilómetros por hora Estados Unidos

